Drie betaalbare bouwgronden te Assenede !
Verkocht Assenede Vrijestraat 1 B B
Bouwgronden te koop vanaf 107.000 euro te Assenede !
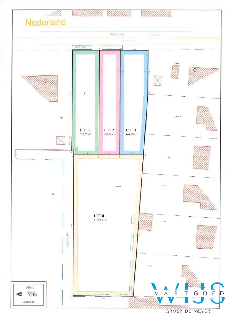
Deze zeer rustig gelegen percelen hebben een open landelijke ligging aan de Nederlandse grens met vlotte verbinding naar het centrum van Assenede !
LOT 1: 645,39 m² - vraagprijs: 142.000 euro
LOT 2: 495,06 m² - Vraagprijs: 107.000 euro
LOT 3: 641,15 m² - vraagprijs: 142.0000 euro
OPTIE TOT HET BIJKOPEN VAN LOT 4 bij bovenstaande loten (landbouwgrond): 2.103,24 m² - vraagprijs: 22.000 euro
Meer info op kantoor of bel naar WIJSvastgoed op +32 9 395 80 10 !
Deze zeer rustig gelegen percelen hebben een open landelijke ligging aan de Nederlandse grens met vlotte verbinding naar het centrum van Assenede !
LOT 1: 645,39 m² - vraagprijs: 142.000 euro
LOT 2: 495,06 m² - Vraagprijs: 107.000 euro
LOT 3: 641,15 m² - vraagprijs: 142.0000 euro
OPTIE TOT HET BIJKOPEN VAN LOT 4 bij bovenstaande loten (landbouwgrond): 2.103,24 m² - vraagprijs: 22.000 euro
Meer info op kantoor of bel naar WIJSvastgoed op +32 9 395 80 10 !